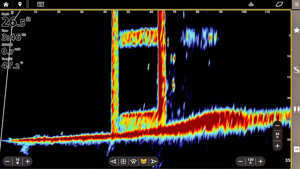
How To Adjust Your Humminbird Mega Live 2 Forward Facing Sonar (Full Settings)

Tim’s Live Imaging is dialed! If you struggle to adjust your FFS image, or don’t understand what you’re seeing, this video will help! Tim is an expert at dialing in his Humminbird electronics to get the clearest possible picture. He uses a handful of simple settings that you can easily replicate on your own unit. Whether you’re using an Apex 16 like Tim, or a smaller Xplore, these settings will give you a clear image the next time you go fishing.

We know there are mixed feelings about modern electronics. We recognize that different anglers have different budgets and beliefs, but we are here to help everyone. For those that are using forward facing sonar, these are the best settings we’ve found to get a consistent image across conditions and times of year.

Below you’ll find links to all of Tim’s favorite electronics. We’ve included the high end units, his favorite mid–priced unit, along with the mapping card that he uses to effectively navigate new lakes. All the links go directly to Tackle Warehouse where you can see detailed photos and descriptions of each item.

WANT TACTICALBASSIN GEAR??

•TacticalBassin Merch: https://bit.ly/3ZxEI0z

•TacticalBassin Lure Designs: http://bit.ly/38YpPIz

MEGA LIVE 2…

•Humminbird Mega Live 2 Transducer: https://bit.ly/40FHMJR

TARGET LOCK…

•Humminbird Target Lock Turret: https://bit.ly/3DWobfm

(Use in conjunction with Mega Live 2 to control the transducer separate of the trolling motor)

TIM’S ELECTRONICS…

•Humminbird Apex 16: https://bit.ly/3QBaOli

•Humminbird Xplore 12: https://bit.ly/3JrZ2vZ

MAPPING…

•Lakemaster VX Premium Cards: https://bit.ly/3z2RFmK

TACTICALBASSIN LURE DESIGNS (AND APPAREL)

We have a variety of custom lure designs and apparel available! Everything from Swimbaits and crankbaits, to apparel and merch! See it here…

•TacticalBassin Apparel and Merch: https://bit.ly/3ZxEI0z

•TacticalBassin Lure Designs: http://bit.ly/38YpPIz

If you plan to do any shopping, using these affiliate links before doing your shopping at Tackle Warehouse is the single greatest way to support us! You won’t be able to even see a difference but they’ll know you’re one of us!